1. Indledning
Den gældende spildevandsplan er fra 2020. Nye kloakledninger optages i spildevandsplanen i forbindelse med en revision eller et tillæg til spildevandsplanen
Dette tillæg til spildevandsplan 2020 - 2028 er udarbejdet for at supplere spildevandsplanen med spildevandsledninger (spildevand og regnvand) og tekniske anlæg.
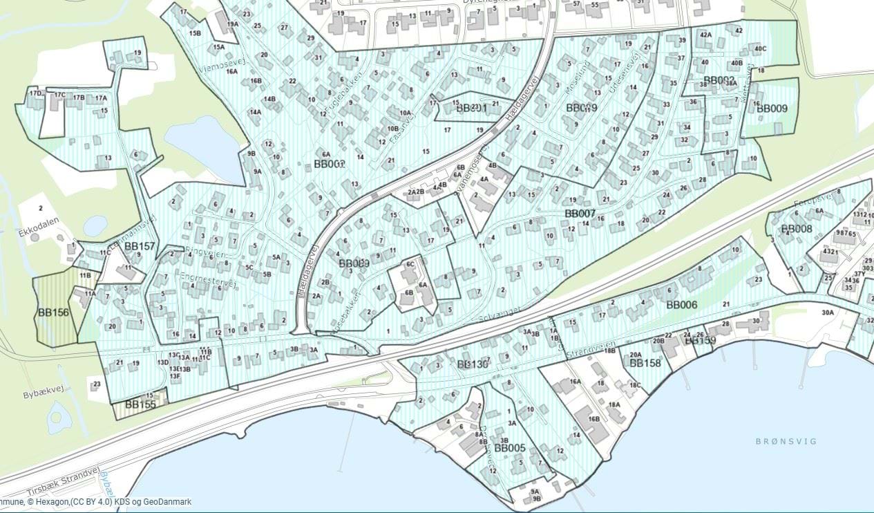
I 2016 blev det planlagte at separatkloakere (adskille regnvand og spildevand) i Bredballe. I spildevandsplan 2020-2028 er denne plan videreført. I planperioden er arbejdet med separatkloakering gennemført for en stor del af Bredballe. De områder der er berørt at dette tillæg til spildevandsplanen fremgår af ovenstående kort.
2. Status
Området (Markeret med rød) er i dag fælleskloakeret men planlagt separatkloakeret tilbage i 2016. I 2020 er det indarbejdet i den gældende spildevandsplan. Den endelige ledningsdisponering var ikke på plads på dette tidspunkt, hvorfor der er behov for et supplerende tillæg til spildevandsplanen vedrørende ledninger og tekniske anlæg.
3. Plan
Det blå område på nedenstående kort er allerede planlagt separatkloakeret. Området suppleres med dette tillæg til spildevandsplanen med ledningsanlæg og tekniske anlæg.
Derudover omfatter dette tillæg til spildevandsplanen justering af de planlagte kloakoplande med udledning af regnvand til de nærliggende vandområder. Se nedenstående kort vedrørende oplande.
Regnvandet skal ledes til udløb via rørbassiner (forsinkelse af vandet) og tekniske renseforanstaltninger. For enkelte matrikler, som er beliggende ud til fjorden kan udledning ske direkte til fjorden. Der skal meddeles en udledningstilladelse til nye og ændrede udløb.
Nedenstående skema viser sammenhæng mellem vandoplande og udledning af regnvand.
| Oplandsnummer | Kloakeringsprincip | Vandområde | Udløbsnummer |
| BB157 | Separatkloak | Bybækken | BB36U |
| BB006/BB008/BB009/BB093 | Separatkloak | Vejle Fjord | BB55U |
| BB005 | Separatkloak | Vejle Fjord | BB005U |
| BB158 | Separatkloak | Vejle Fjord | BB93U |
| BB159 | Separatkloak | Vejle Fjord | BB94U |
| BB007/BB130 | Separatkloak | Vejle Fjord | BB02U |
Skema vedrørende udløb for de oplande der skal separatkloakeres.
4. Effekt på miljøet
Separering af spildevand og regnvand i dette område af Bredballe betyder et væsentligt bidrag til forbedring af badevandskvaliteten.
Først når alle ejendomme i oplandet til et overløbsbygværk har foretaget separering på egen grund, kan det pågældende overløbsbygværk nedlægges. Projektet med separatkloakering i Bredballe har allerede lukket flere overløb af urenset spildevand til fjorden. Med separering af de næste etaper vil overløbene til BB02U og BB13U til Vejle Fjord blive reduceret væsentligt.
5. Tidsplan
Tidsplanen for de næste separeringsprojekter fremgår af nedenstående skema og nedenstående etapeplan.
Etape |
Årstal |
|
12A |
2026-2027 |
|
12B |
2026-2027 |
|
13B |
2027 |
|
13A |
2028 |
|
14A |
2028 |
6. Ledningsanlæg og servitutpålæg
Ledningsanlæg placeres generelt i vejarealer. Hvis det er nødvendigt, at etablere ledningsanlæg uden for offentligt vejareal sikres de ved tinglysning på de enkelte matrikler. Ved etablering af ledninger ejet af Vejle Spildevand på privat grund, skal der tinglyses en deklaration blandt andet til at sikre adgangsrettigheder for kloakforsyningen (servitutpålæg).
Grundejere som enten vil blive pålagt servitutter efter frivillig aftale, eller bliver pålagt servitutter ved ekspropriation kontaktes af Vejle Spildevand under detailprojekteringen. Erstatning udbetales efter gældende normer. I det omfang planlagte nye spildevandsanlæg forventes at kunne medføre ekspropriation, skal placeringen af de nye anlæg være angivet på spildevandplanens kortmateriale.
På det første aktive plankort øverst på siden er vist ledningsdisponeringen for kloakering af de næste etaper i Bredballe. I forbindelse med det planlagte projekt er det nødvendigt at etablere ledninger eller andre anlæg på private matrikler. Det betyder, at der er arealer på disse matrikler, som enten vil blive pålagt servitutter i tilfælde af ejers accept eller blive eksproprieret, såfremt ejer ikke accepterer.
Matrikler berørt af ledningsanlæg og andre tekniske anlæg fremgår af nedenstående skema
Matrikler Etape 12A |
|
|
30b |
Ledninger, Pumpestation, Renseløsning |
|
32m |
Ledninger |
Matrikler Etape 12B |
|
|
15bl |
Ledninger |
|
33am |
Ledninger |
|
33q |
Ledninger, Udløb |
|
35h |
Ledninger, Udløb |
|
15ed |
Bassin og Ledninger |
|
33ai |
Ledninger |
| 33ag | Ledninger |
Matrikler Etape 13A |
|
|
28b |
Ledninger |
|
28ai |
Ledninger |
|
28i |
Ledninger |
|
29ce |
Ledninger |
|
28af |
Ledninger |
|
29q |
Ledninger |
Matrikler Etape 13C |
|
|
36aa |
Ledninger |
|
36m |
Ledninger |
|
36u |
Ledninger |
|
16c |
Ledninger |
|
36r |
Ledninger |
Matrikler Etape 14A |
|
|
32u |
Ledninger |
|
32v |
Ledninger |
|
32y |
Ledninger |
|
33c |
Ledninger |
|
33u |
Ledninger |
|
33v |
Ledninger |
|
33z |
Ledninger |
|
33aa |
Ledninger |
|
36f |
Ledninger |
|
32p |
Ledninger |
|
32ac |
Ledninger |
|
32an |
Ledninger |
7. Miljøvurdering
Ifølge Lov om miljøvurdering af planer og programmer (LBK nr. 1976 af 27. oktober 2021) § 8 stk. 2 skal myndigheden gennemføre en vurdering af, om planer og programmer kan få væsentlig indvirkning på miljøet, når disse er omfattet af § 8 stk. 1
Dette tillæg til spildevandsplanen er omfattet af § 8 stk. 3, da plantillægget kun fastlægger kloakforholdene for mindre områder på lokalt plan set i forhold til Vejle Kommunes samlede kloakopland, og er således en mindre ændring i forhold til Vejle Kommunes Spildevandsplan 2020 - 2028.
Kommunen vurderer at tillæg nr. 27 til Vejle Kommunes spildevandsplan ikke er omfattet af kravet om miljøvurdering, da miljøscreeningen af dette tillægget har vist, at der ikke er sandsynlighed for væsentlige miljøpåvirkninger som følge af tillægget. Tillægget udgør en mindre ændring af den eksisterende miljøvurderede spildevandsplan.
8. Økonomiske forhold
Spildevandskloakeringen med offentlige ledninger finansieres af Vejle Spildevand A/S.
9. Ikrafttrædelse
Tillægget til spildevandsplanen behandles af Byrådet med henblik på at sende tillægget til spildevandsplanen i offentlig høring. Efter høringsperioden skal høringssvarene fremlægges for Byrådet med henblik på vedtagelse af tillægget til spildevandsplanen.


